Cozy Home Agency Ви представя парцел, който е изключително подходящ за изграждане на жилищен комплекс от еднофамилни къщи.
Инвестиционен потенциал с усещане за дом!
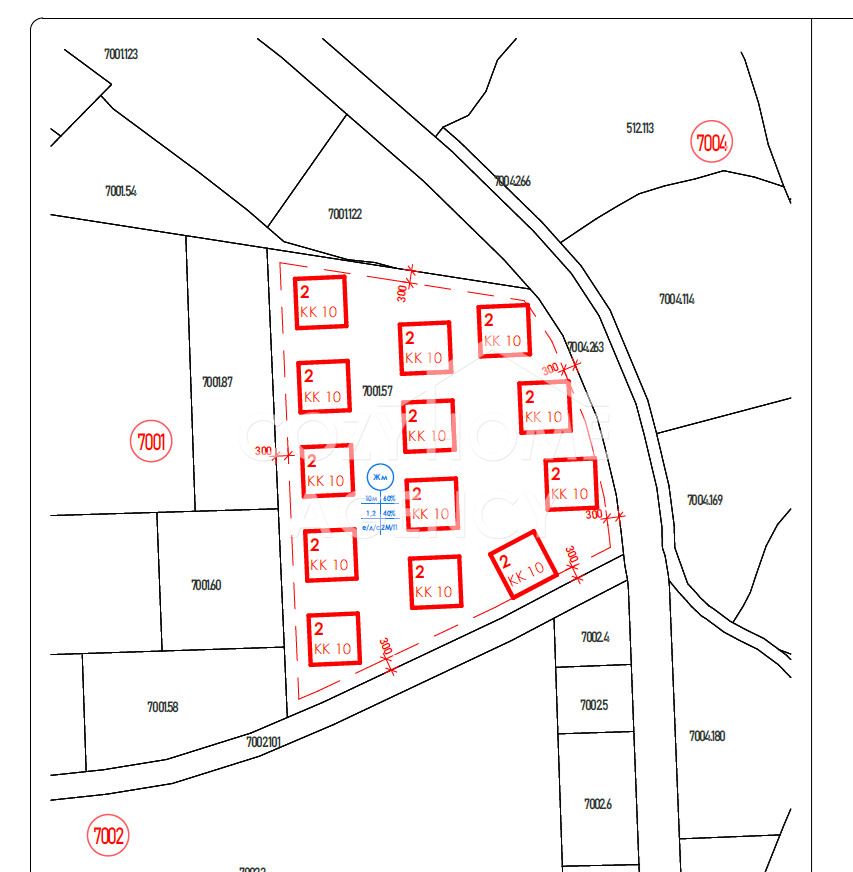
Представяме парцел/имот в село Бистрица с площ от 6999 кв.м. и с отличен потенциал за изграждане на къща или малък жилищен комплекс. Мястото съчетава природна хармония, спокойствие и уникална панорамна гледка към планината и околните зелени склонове.
Характеристики и предимства:
Нискоетажно застрояване – подходящо за къщи с модерен дизайн и комфорт.
Панорамна гледка – всяка къща може да бъде ориентирана към слънчевата светлина и природната красота.
Тиха и зелена среда – усещане за уединение и безопасност, с възможност за просторни дворове и озеленяване.
Инвестиционен потенциал – имотът е подходящ както за лично ползване, така и за изграждане на жилищен проект с дългосрочна стойност.
Локация:
Намира се в зона за малкоетажно строителство, с ясни градоустройствени показатели, които позволяват изграждане на къщи или ниски сгради при следните параметри:
Плътност на застрояване: до 60%
КИНТ: 1,2
Минимална площ за озеленяване: 40%, от които поне половината – висока дървесна растителност
Максимална кота било: 10 м
Допълнителни предимства на имота:
Възможност за осигуряване на електрозахранване чрез изграждане на трафопост (ориентировъчна стойност 100 000 евро)
Собствен водоизточник чрез сондаж (ориентировъчна стойност 15 000 евро)
Този имот е идеален за създаване на уютен, зелен и престижен жилищен комплекс, с възможност за реализиране на висококачествени къщи, които търсят инвеститори с визия за бъдещето.
Бистрица предлага уникалното съчетание на естествена красота, комфорт и възможност за рентабилна инвестиция – място, където домът е не просто строителство, а преживяване и усещане за пълноценен живот.
Всички наши огледи се провеждат с протокол за оглед.
Оферта № 412
Свържете се с нас за да организираме Вашия оглед: 0897363939 Биляна Белчинска
Посетете нашия сайт и разгледайте други подобни имоти: www.cozyhomeagency.com


